|  | 
|  | 
|  | 
| Prawo miejscowe Uchwały Rady Gminy
 Rok 2022
 | 
|  | 
| 
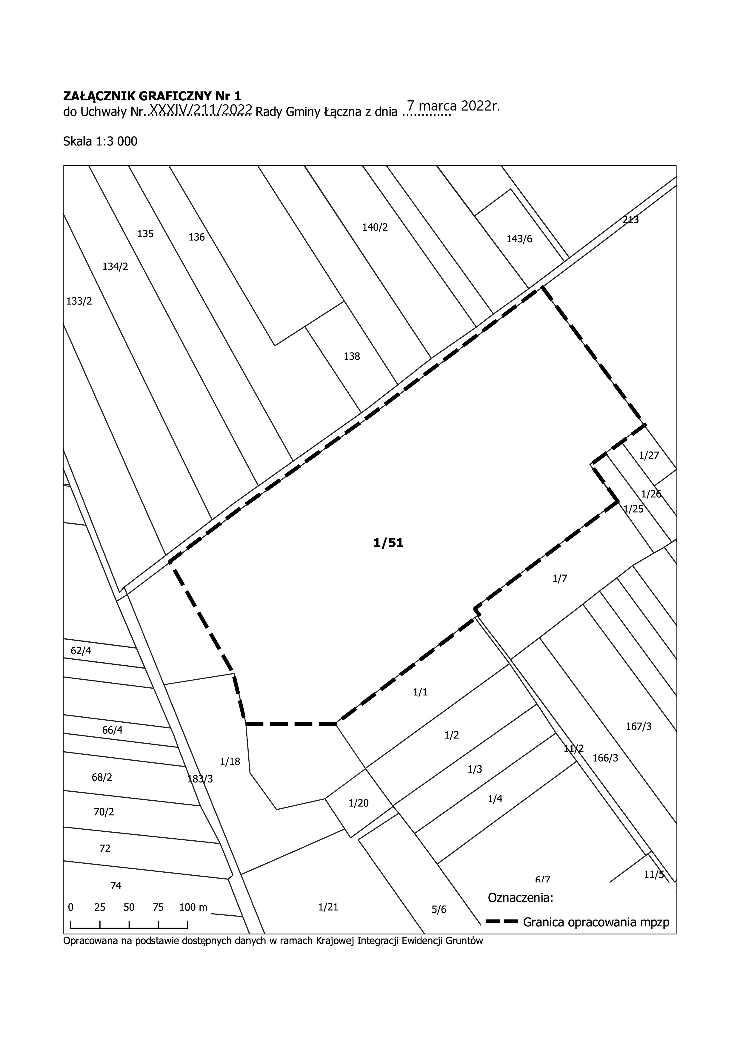
| UCHWAŁA Nr XXXIV/211/2022 RADY GMINY ŁĄCZNA z dnia 7 marca 2022r. 
 w sprawie przystąpienia do sporządzenia zmiany Nr 7
 
 Treść Uchwały w załączniku.
 
 Data wprowadzenia: 2022-03-15 0842
 Data upublicznienia: 2022-03-15
 Art. czytany: 2298 razy
 
 
 |  | 
| » UCHWAŁA Nr XXXIV/211/2022 RADY GMINY ŁĄCZNA z dnia 7 marca 2022r. - rozmiar: 317877 bajtów Typ pliku: application/pdf
 | 
| » Załącznik do Uchwały Nr 211  - rozmiar: 610711 bajtów Typ pliku: image/jpeg
 | 
|  Wiadomość wprowadził: Mirosław Kopytek Autor dokumentu: Aneta Mik
 | 
| » Pokaż rejestr zmian dla danej wiadomości | 
|  |